贵阳乾麟龙观宸项目建设工程规划许可进入批前公示阶段
发布时间: 2025-09-09
来源: 城楼网
分类: 贵阳导购

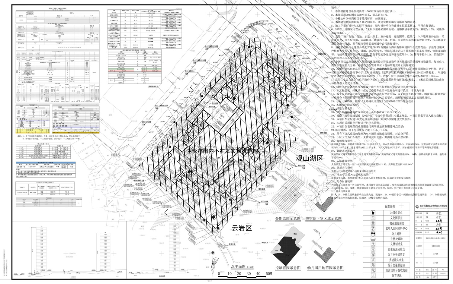
9月9日,贵阳市自然资源和规划局发布乾麟龙观宸项目规划许可行政审批批前公示。该项目由乾麟龙(贵阳观山湖)置业有限公司开发,位于北京西路与世纪金源交叉口东南侧。具体经济技术指标如下图:

图片1.jpg

据了解,观宸项目由上海乾麟龙集团携手国内顶尖设计团队精心打造,落子世纪金源购物中心与居然之家双商圈交汇处,半径1公里内覆盖地铁口(规划中)、贵阳一中、奥体中心等顶级配套,形成“商业-教育-交通”闭环。

据悉,不久前,乾麟龙观宸项目正式封顶开盘,推出的建面约109-143㎡极核华宅以及建面约17-87㎡鎏金旺铺备受瞩目。

从产品来看,乾麟龙观宸109-143㎡极核华宅户型瞄准贵阳改善型需求,采用“双厅双阳台”海派格局,匹配城市精英阶层;该项目17-87㎡小面积切割的鎏金旺铺,则降低了投资门槛,依托世纪金源日均10万+客流。

可以说,该项目凭借 “观山芯 + 购物中心 + 地铁口” 的黄金三角区位,重塑区域价值标杆,其融合 “海派美学与贵阳传统” 的产品力,更是成为贵阳城市更新进程中的稀缺资产样本。


关联楼盘

贵阳观山湖区北京西路世纪金源购物中心居然之家旁
[观山湖区]
高层、板楼、塔楼,品质住宅
400-9950-118
均价元/㎡
全国统一服务热线 400-9950-118 | 邮箱:admin@gyhouse365.com
Copyright 城楼网
公安联网备52011502001637
工信部黔ICP备2021008664号-1
技术支持:北京积木纵横网络科技有限公司